Tilly and Poppy our two furry office mates, had mastered the art of balancing work at Goodwin Plastics with their nightly tea rituals. But life was about to throw a few curveballs our way, and we were all ready to catch them with a wagging tail and a happy bark.
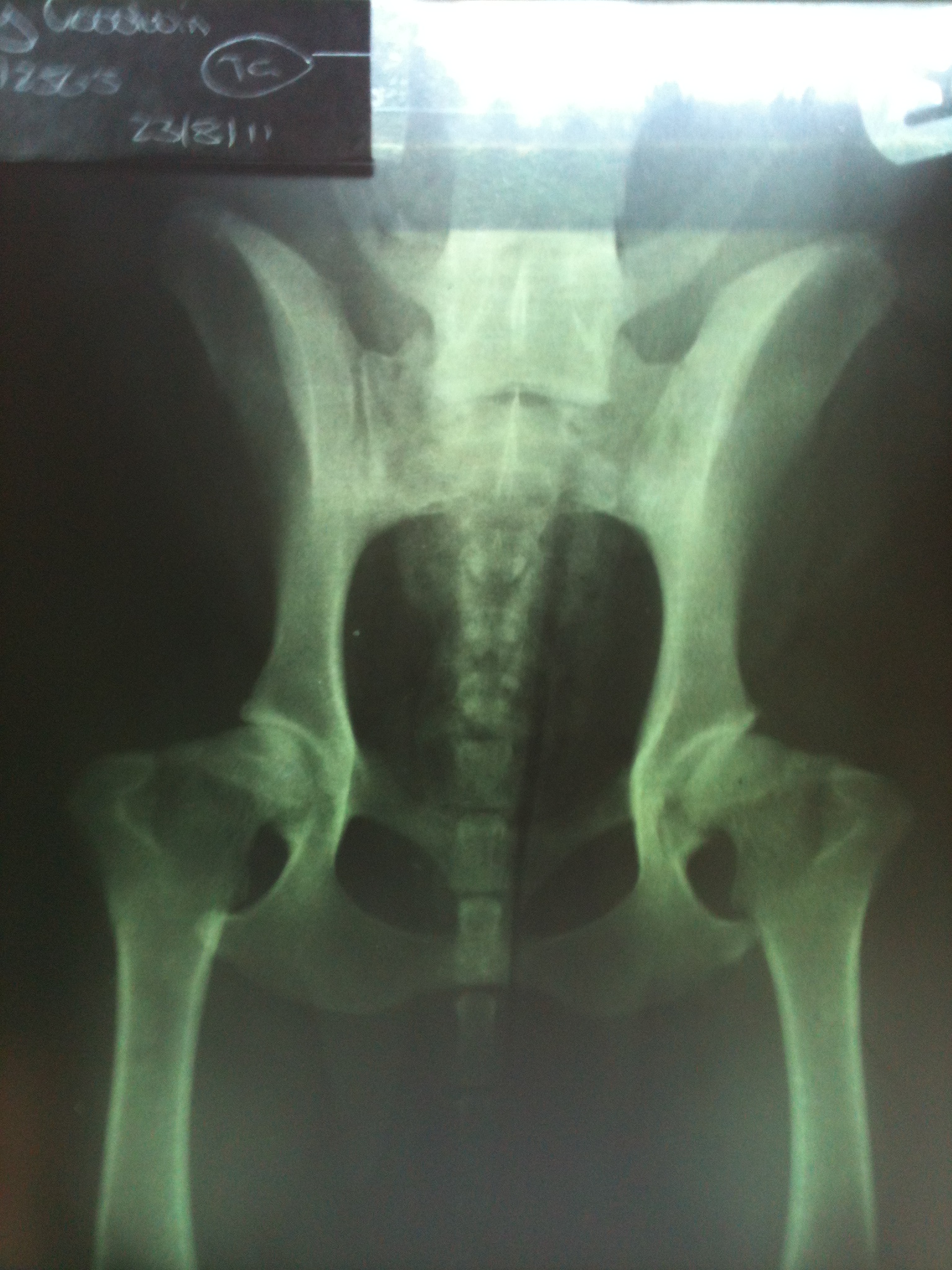
Tilly, our beloved hip-challenged diva, was on a mission to conquer her arthritis. The vet suggested swimming, and I was intrigued by the idea of hydrotherapy. So, I dove headfirst into research, I discovered where to study to become a canine hydrotherapist. I learned everything from canine anatomy to water management, and even how to handle post-surgery pups. I even took the plunge, sorry for the pun! And opened my own hydrotherapy centre, Haslington K9 Hydrotherapy was born, where Tilly became a regular swimmer. She was a natural, paddling away like a pro. It also ment I got to meet other breeds to including a dog de Bordeaux and a terrier, little to large, some dogs are not naturally drawn to swim so patience is key. Tilly was starting to show progress with her hips, when one day she started limping and not weight baring on her hind leg, a vet visit was in order, where it was revealed that she had a partial cruciate tear,. Surgery was unavoidable, but it was a success! Tiled then had to endured a few weeks of cage rest, after her final check up with the vets we were able to continue with her hydrotherapy, which she was happy about, and she was back to her old self in no time, until one fateful bank holiday weekend when her crucuate ligament snapped completely. No surgery this time, just more cage rest. Meanwhile, Poppy was putting on a show, limping around the kitchen for sympathy-what a drama queen! (Tilly’s X-ray below showing bilateral hip dysplasia )
To give our budding business a little boost, we thought, “Why not throw a dog show?” It was the perfect way to showcase our pool and explain its magic. Little did we know, the turnout would be so paw-some! It was an absolute tail-wagging triumph!
There is one funny story I can definitely recall, one of Tilly’s litter mates lived in the same village as us, he was her brother called Tyson, who I hasten to add was not a water fur baby. He had been coming to the pool for a few weeks not because he had had surgery but more for a fitness and weight management swim, he would eagerly walk to the top of the ramp to the pool and dip his paws in to the water, but on one particular visit, TIlly must of had enough of him not taking the plunge so she offered to help him, the next minute their was an almighty splash and Tyson was in! I have to add his owner was present and found the whole thing very amusing, we came to the conclusion that Tyson must of been mean to Tilly while they were young so she decided to get her own back! He did come back the following week.
Sadly, the hydrotherapy business didn’t quite take off. Back then, people were either unaware of or sceptical about this form of therapy, as we had been when Molly first started. And Poppy? To say she was not a fan of swimming is an understatement, even with the help of a hoist. Her story was about to take an exciting new turn, and we were all wagging our tails in anticipation !











#hydrotherapy #dogsofinstagram #cheshire #labradors #swimming
Leave a comment